Pockengallmilbe an Walnussbäumen

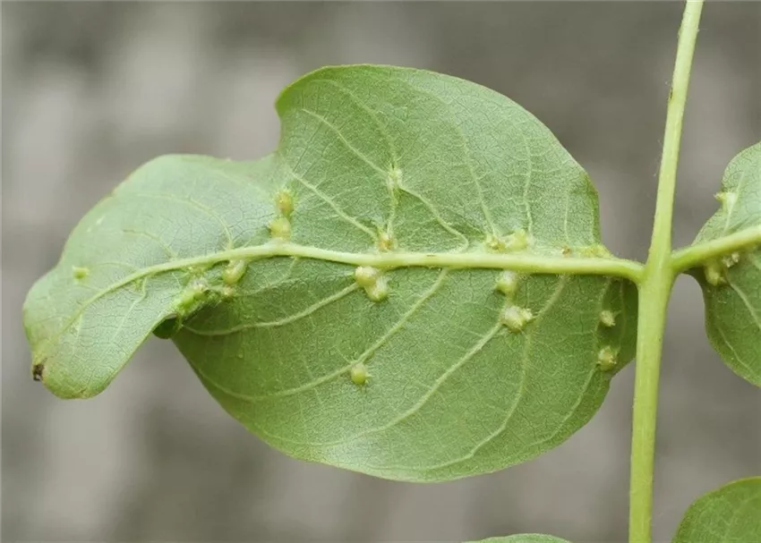
Schadbild

Die Gallen werden durch die Saugtätigkeit einer winzig kleinen Milbe verursacht, die in den Knötchen lebt. Die Tiere überwintern unter Knospen- und Rindenschuppen.

Schädling

Die knotenförmigen Gallen werden durch die Saugtätigkeit einer winzig kleinen Milbe (Eriophyes tristriatus) verursacht. Die Tiere überwintern unter Knospen- und Rindenschuppen.

Bekämpfung

Allgemeine Bekämpfungshinweise

Eine Bekämpfung ist nicht erforderlich.